Lot 15 - Lyncroft, land on Bursnips Road, Essington, Wolverhampton, West Midlands, WV11 2RE

  • Unconditional Online Auction Sale
  • Guide Price* : £60,000
  • Bedrooms: 0

Landmark Auctions Are Pleased To Offer For Sale By Public Auction On : 30th July 2024.


Description

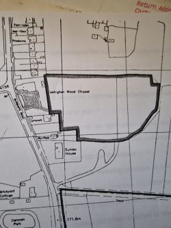
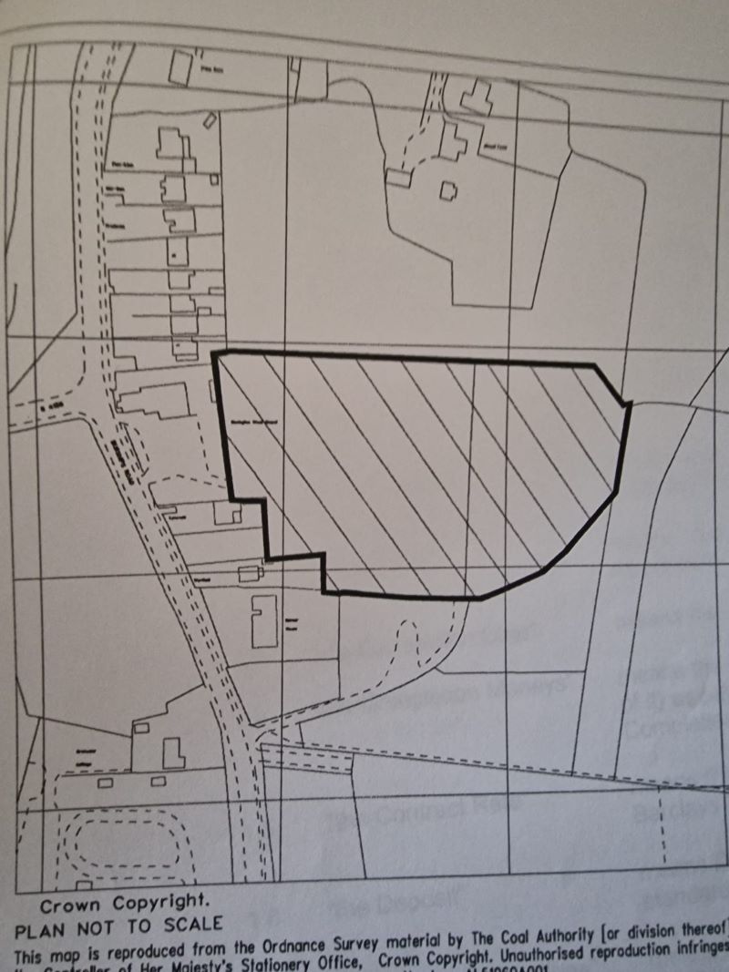
A vacant Plot of land measuring approximately 4 acres. Suitable for a variety of uses (subject obtaining all relevant consents)

Tenure

Freehold

Accommodation

The land comprises a roughly rectangular shaped site measuring approx 4 acres

Location

Lyncroft Iand is situated within strategic location near the sought-after village of Essington, providing proximity to St. John's Primary Academy, scenic nature walks around Essington Pools, and quick access to major road networks such as the M6, M6 toll, and M54. Residents can relish the tranquility of village life while maintaining swift connections to nearby hubs like Cannock, Bloxwich, and Wolverhampton.

Planning

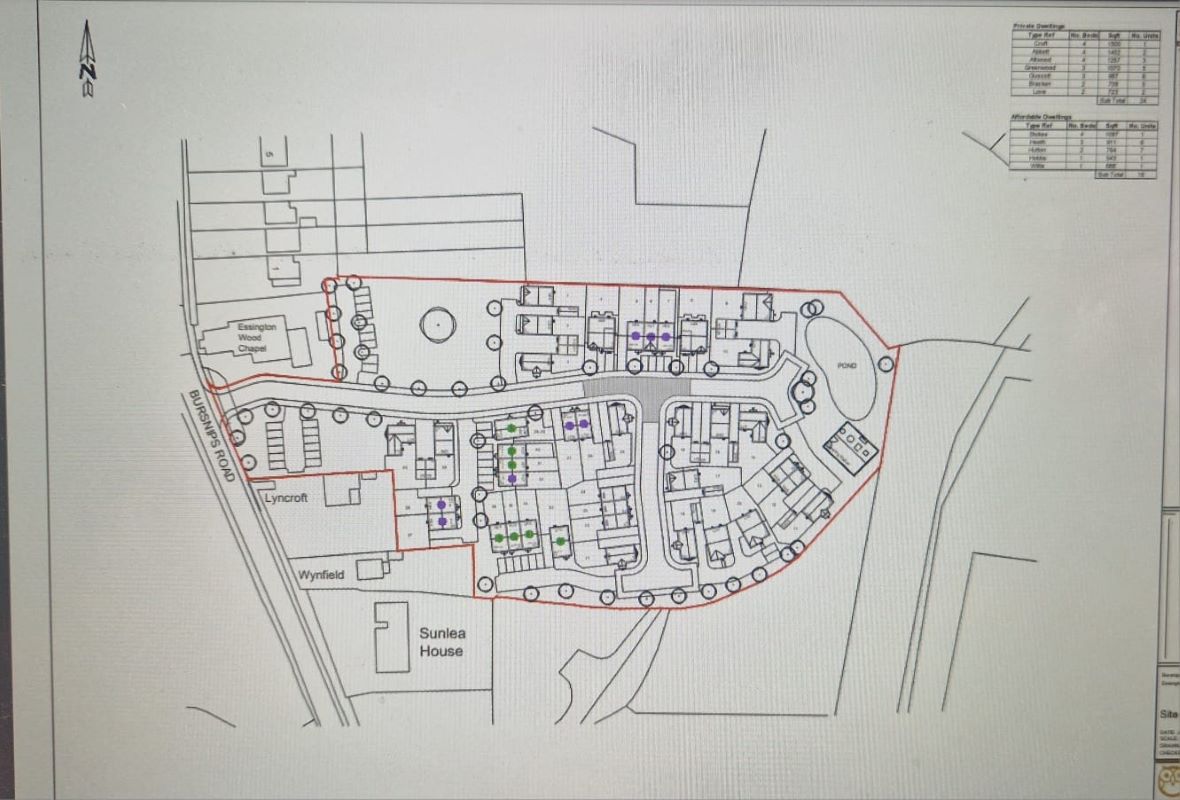
There has been previous planning applications for multiple stables, a menage and tack room.

Sector

Land

* Generally speaking Guide Prices are provided as an indication of each seller's minimum expectation, i.e. 'The Reserve'. They are not necessarily figures which a property will sell for and may change at any time prior to the auction. Virtually every property will be offered subject to a Reserve (a figure below which the Auctioneer cannot sell the property during the auction) which we expect will be set within the Guide Range or no more than 10% above a single figure Guide.

Loading the bidding panel...

Agreement Documents

Share